
Schaffen Sie eine digitale Brücke zu Ihren Einsender:innen
Erfassen Sie von der Order Entry Beauftragung bis
zur Befund-Darstellung den gesamten Laborprozess.
Die labGATE Plattform
Wir ermöglichen Laboren mit unserer individuell erweiterbaren Plattform, den Einsender:innen einen bestmöglichen Service zu bieten.
Produktbeschreibung
labGATE ist das perfekte webbasierte Einsenderportal für Labore.
Ärzte und Labore können über voll integrierte Schnittstellen unkompliziert und in Echtzeit ihre Laboraufträge erstellen und Befunde einsehen.
Nutzen Sie unsere schnelle und sichere Laborplattform über den Browser oder als mobile App. Durch unser modulares System können Sie den Leistungsumfang individuell gestalten und problemlos erweitern.
Produktvorteile
eine bequeme, schnelle und sichere Auftragserfassung.
eine Rückübermittlung der Analyseergebnisse ohne Zeitverzug ins AIS.
eine übersichtliche Einsicht der Online-Befundauskunft durch verschiedene Filtermöglichkeiten wie Herkunftslabor, Name, Auftragsnummer oder weitere Parameter.
einen Abruf der Befundauskunft über die mobile Befund-App für unterwegs.
einen automatischen Etikettendruck aus dem System.
eine Erstellung von Kostenvoranschlägen bei Privatleistungen.
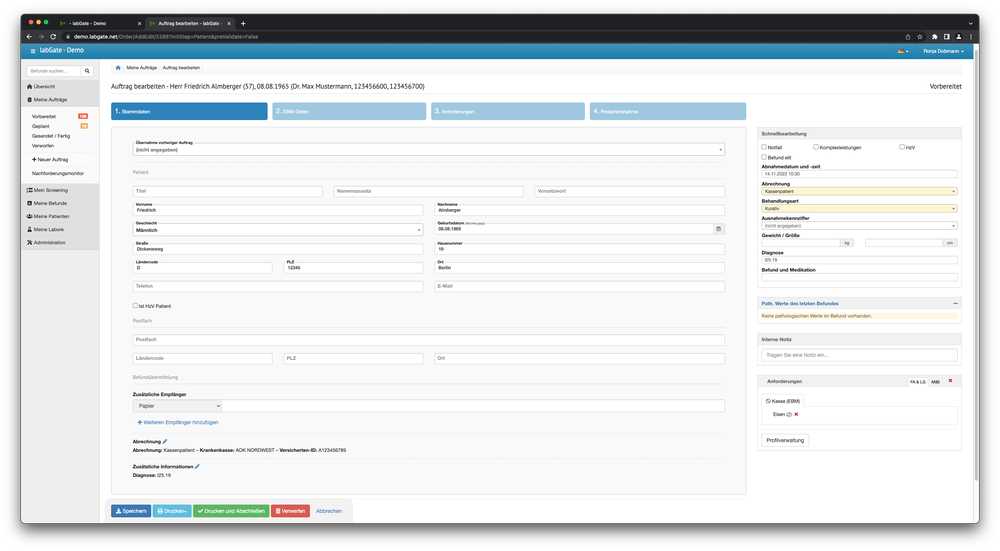
Screenshots
Hier finden Sie einige ausgewählte Screenshots zu labGATE
Einsatzorte
Arztpraxen und Medizinische Versorgungszentren
Labore und Laborgemeinschaften

Individuelle Module und Services
DiMus / eAuftrag Versand
Digitale Muster via KIM versenden
Versenden Sie Digitale Muster mit labGATE Connect via KIM.
Interface
Die Schnittstelle
zum Anbinden des LIS.
Die flexible Schnittstelle zwischen labGATE und dem Laborinformationssystem.
L2L
Einfach den Laborproben-
Fremdversand organisieren.
Organisieren Sie dank unserer Webbasierten Plattform ganz einfach den Laborproben-Fremdversand.
Meine Laborwerte
Die mobile Befundauskunft
für Patient:innen.
Meine Laborwerte
Patient:innen können Ihre Ergebnisse selbst von überall sicher abrufen.
Managed Hosting
Unser DSGVO-konforme sichere Webserver.
Nutzen Sie unseren vollskalierbaren, DSGVO-konformen labGATE Webserver statt eigene Ressoucen aufzubauen.
Order Entry
Laboranforderungen
digital beauftragen.
Laboranforderungen schnell, datenschutzkonform und fehlerfrei digital beauftragen.
Datenbox
Bereitstellung der Befunde
in allen Formaten.
Stellt Einsendern Befunde in allen Formaten wie LDT, HL7 oder PDF bereit.
Order Complete
Automatisierte Qualitätskontrolle
bei der Probenannahme.
Webbasierte Plattform, die zur Verbesserung des präanalytischen Prozesses beiträgt.
Befund App
Die mobile Befundauskunft für Sie für unterwegs.
Mit der Befund App bieten wir Ihnen eine Lösung für Ihr mobiles Labor.
Connect
Die Schnittstelle
in das PVS.
Die sichere Schnittstelle ins PVS für Patienten, Auftrags-und Befunddaten.
Screening
Einfache Durchführung
von Reihen-Tests.
Vom Betriebsarzt bis zur Teststation:
Reihen-Tests waren nie so einfach.
Online Befundauskunft
Teil- und Endbefunde direkt online einsehen.
Die webbasierte Befundansicht bietet Ihnen jederzeit Zugriff auf Patientenbefunde.
Field Services
Unterstützung für einen komfortable Order-Entry Roll-out.
Für die schnelle Nutzung der vereinfachten Arbeitsprozesse.
Unser Service macht den Unterschied.

Beratung
Unsere Team hat ein wertvolles und umfassendes Branchen- und Prozesswissen im medizinischen Bereich und entwickelt mit Ihnen gemeinsam die passende Lösung für Ihre Anforderung.
Integration
Unsere Expert:innen sorgen für eine zuverlässige und sichere Installation.
Wir integrieren alle Softwarekomponenten und Schnittstellen ohne Ihre Arbeitsabläufe zu stören.
Training
Wir bieten Hilfe zur Selbsthilfe, in dem wir durch hauseigene Trainings die Anwender:innen unserer Systeme befähigen, komplexere IT-Aufgaben selbständig zu erledigen.
Support
Wir stehen unseren Kund:innen, wenn gewünscht 365/24/7 in medizinischen
IT-Projekten bei Problemen und Schadensfällen zur Seite.
Haben Sie Fragen zu labGATE?

Peter Wierszewski / Senior Consultant, laboratory solutions










